Kerros- ja rivitalotontit | Kartanonrinne | Nikkilä
Kartanonrinne alue sijaitsee Sipoon hallinnollisen keskuksen Nikkilän pohjoispuolella. Alueelta on matkaa Nikkilän keskustaan noin 1,5 km. Lähimmät palvelut löytyvät Nikkilän keskustasta, mm. kolme päivittäistavarakauppaa, terveysasema, päiväkodit ja koulut, sekä ravintoloita. Rauhalliselta Kartanonrinteen alueelta on hyvät liikenneyhteydet esimerkiksi Helsingin ja Keravan suuntaan, ja suunnitteilla olevalle Nikkilän rautatieasemalle on matkaa noin 1 km. Kartanonrinne on osa suosittua ja kehittyvää Nikkilän kartanon aluetta, jossa ulkoilumaastot ovat lähellä. Lenkkeile, hiihdä tai pelaa frisbeegolfia ihan kotiovesi tuntumassa.
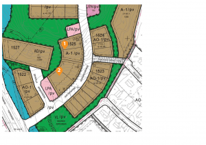
Alueen kaikki omakotitalot on jo rakennettu ja vapaana on kaksi yhtiömuotoista asuintonttia kaavamerkinnällä A-1 (Asuinrakennusten korttelialue) korttelissa 1525. Pohjoisempi tontti (tontti 1) sijaitsee melko jyrkässä rinteessä ja rakentaminen edellyttää rinneratkaisuja, piha-alueiden pengerryksiä ja tukimuureja. Korttelin eteläosaa on täyttämällä nostettava kadun tasoon. Pohjoisosassa rakentaminen edellyttää todennäköisesti kallion louhintaa. Korttelissa 1525 autopaikat sijoitetaan tarkoitusta varten osoitetuille LPA-alueille. Tontinluovutuksen yhteydessä luovutetaan tontin käyttöön tarkoitettu LPA-alue (Autopaikkojen korttelialue). Tontit voidaan toteuttaa esimerkiksi kytkettyinä rakennusryhminä (esim. paritaloina tai rivitaloina).

Vapaa tontit
1. Rivitalotontti I Kortteli 1525 tontti 1 I Kartanonrinne 12
Kortteli 1525 Tontti 1, kiinteistötunnus 753-423-0023-0078 + LPA-alue (753-412-0003-0029)
A-1 /pv Asuinrakennusten korttelialue. Asemakaavassa osoitetun rakennusoikeuden lisäksi erillisiä asuntokohtaisia irtaimistovarastoja saa rakentaa 6 m2/asunto, sekä lisäksi talousrakennuksia 4% rakennusoikeudesta.
Pinta-ala: A-1 / pv: 2288 m2 ja LPA / pv: 613 m2
Rakennusoikeus: 700 k-m2
Myyntihinta: 196 445 € (280,65 €/k-m2)
Vuosivuokra: 11 787,3 € (6 % myyntihinnasta)
2. Rivitalotontti I Kortteli 1525 tontti 2 I Rinnekuja 1
Kortteli 1525 Tontti 2, kiinteistötunnus 753-423-0023-0077 + LPA-alue (753-423-0023-0076)
A-1 /pv Asuinrakennusten korttelialue. Asemakaavassa osoitetun rakennusoikeuden lisäksi erillisiä asuntokohtaisia irtaimistovarastoja saa rakentaa 6 m2/asunto, sekä lisäksi talousrakennuksia 4% rakennusoikeudesta.
Pinta-ala: A-1 / pv: 3038 m2 ja LPA / pv: 926 m2
Rakennusoikeus: 1100 k-m2
Myyntihinta: 307 410 € (279,46 €/k-m2)
Vuosivuokra: 18 444,6 € (6 % myyntihinnasta)
Tonttien varaaminen
Tontit varataan vapaamuotoisella hakemuksella, jonka voitte lähettää sähköpostitse tonttipäällikölle ja maankäyttöasiantuntijalle. Hakemuksesta tulee käydä ilmi varattava tontti, tiedot tontin varaavasta yrityksestä ja yrityksen avainluvuista, hankkeen rahoitusmallista, alustava suunnitelma varattavalle tontille toteutettavasta hankkeesta sekä hankkeen osapuolista ja tiedot toteutettavien asuntojen lukumäärästä ja koosta.
Tiedustelut ja varaukset:
Tonttipäällikkö Juhani Lankinen
juhani.lankinen@sipoo.fi
+358 40 579 2967
Maankäyttöasiantuntija Harri Kumpulainen
harri.kumpulainen@sipoo.fi
+358 40 615 9771